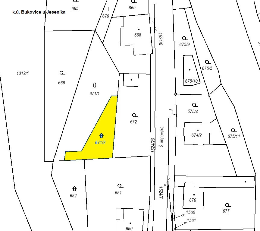
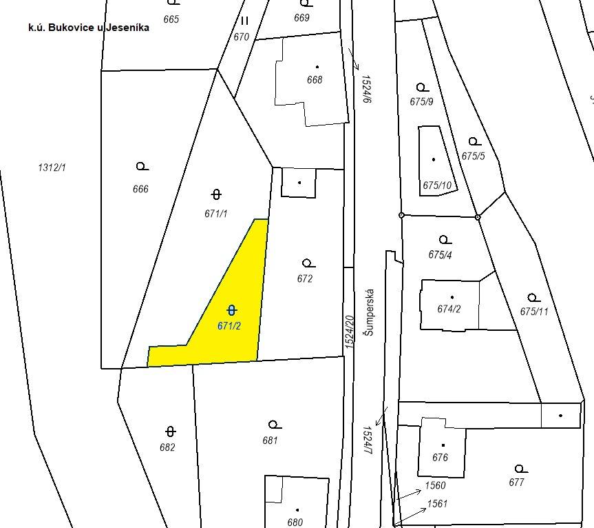
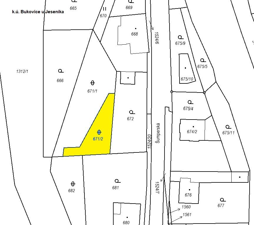
UZSVM - Vyhlášení aukce na prodej pozemku p. č. 671/2 v k. ú. Bukovice u Jeseníka, obec Jeseník prostřednictvím Elektronické aukce
Datum vytvoření: 30.12.2025 | Datum stažení: 21.01.2026
Přílohy
Dokument Adobe Acrobat | Velikost souboru: 91 Kb | 29.12.2025 08:38:34 Marek Kačor vlozil soubor 29.12.2025 08:38 k záznamu UZSVM - Vyhlášení aukce na prodej pozemku p. č. 671/2 v k. ú. Bukovice u Jeseníka, obec Jeseník prostřednictvím Elektronické aukce , | |
Obrázek | Velikost souboru: 106 Kb | 29.12.2025 08:38:34 Marek Kačor vlozil soubor 29.12.2025 08:38 k záznamu UZSVM - Vyhlášení aukce na prodej pozemku p. č. 671/2 v k. ú. Bukovice u Jeseníka, obec Jeseník prostřednictvím Elektronické aukce , | |