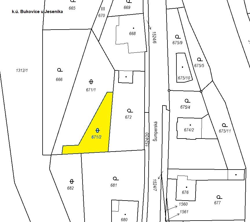
ÚZSVM - Aukční vyhláška na prodej pozemku p.č. 671/2 v k.ú. Bukovice u Jeseníka
Datum vytvoření: 19.02.2026 | Datum stažení: 18.03.2026
Přílohy
Dokument Adobe Acrobat | Velikost souboru: 395 Kb | 18.02.2026 10:32:00 Marek Kačor vlozil soubor 18.02.2026 10:32 k záznamu ÚZSVM - Aukční vyhláška na prodej pozemku p.č. 671/2 v k.ú. Bukovice u Jeseníka , | |
Obrázek | Velikost souboru: 106 Kb | 18.02.2026 10:32:00 Marek Kačor vlozil soubor 18.02.2026 10:32 k záznamu ÚZSVM - Aukční vyhláška na prodej pozemku p.č. 671/2 v k.ú. Bukovice u Jeseníka , | |